Another Altadena fire rebuild where the client also wanted to try to widen the driveway. These are pretty straightforward normally, but some of the older streets in Altadena have a concrete slab acting like a little bridge over the street flowline to allow water to flow under this little bridge.
At first we double checked with the client as this would potentially require a street plan depending on what the County says we can do here. After getting the go ahead I contacted the County to ask if there was a standard detail for this. As one would imagine there isn’t a standard detail. This is also pretty rare, that no one is really familiar with how to handle this so the driveway design on a case by case basis. The County engineer mentioned we could try to adjust the flowline and tie back into the street since I mentioned if there is no standard we aren’t going to design a new bridge.

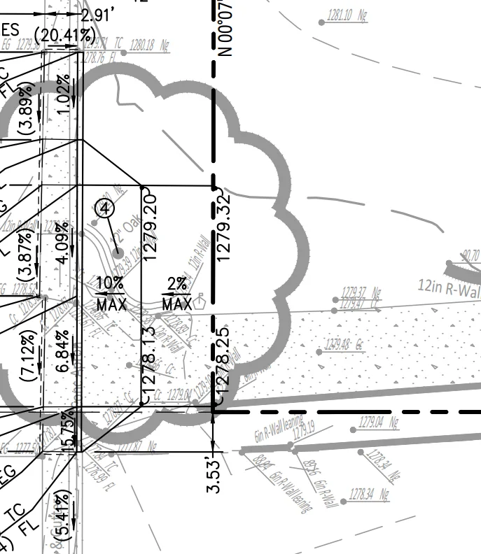
What we ended up doing is creating a flowline that went as close as we could get to the upper apron X and blended into the apron at 1% minimum in the flowline. Then try to keep the bottom of the apron as inline as possible while keeping a standard curb and gutter crossslope through this. Once we pass the apron, blend back in as fast as possible to the existing. What this should do is make a standard curb and gutter in the proposed area and either side neighbor if they do the same in the future can tie into this and eventually over time remove the little bridges if they want. I found 2 houses a few blocks away that did something similar but the aprons don’t look standard. We are still in plan check, and curious if the County will have any comments or if they like the design on the first go around.
The rest of the site is pretty standard but its a multifamily lot so the structure is a lot longer than a typical house and we are still trying to use gravity drainage to the street whenever possible. We ended up putting short walls on the North and South side to balance the building in the middle and give just enough elevation to get gravity drainage from the rear to the front . The rear of the lot has a little sliver of retaining wall and blends back into the neighbor. The goal of the fire rebuilds is to try to blend everything we can so the lots are somewhat similar to what they were while making drainage better where we can.