Our next Altadena drainage plan is for a lot with manufactured homes, consisting of basically two ADU’s. With the way this lot slopes and two smaller, separate structures, we are trying to save as much on construction costs as possible. The lot is typical though the excavated out damaged structures make the way this one ties into the neighbors a bit harder to read the survey.
What we are doing is where the front edge of each ADU is located, go about 10 feet and 5% and create a flowline into the existing. Then come back to the structure and set the finished floor 8″ above grade. One we set that bring the flowline around the sideyards and see what the existing elevation is on each property line.

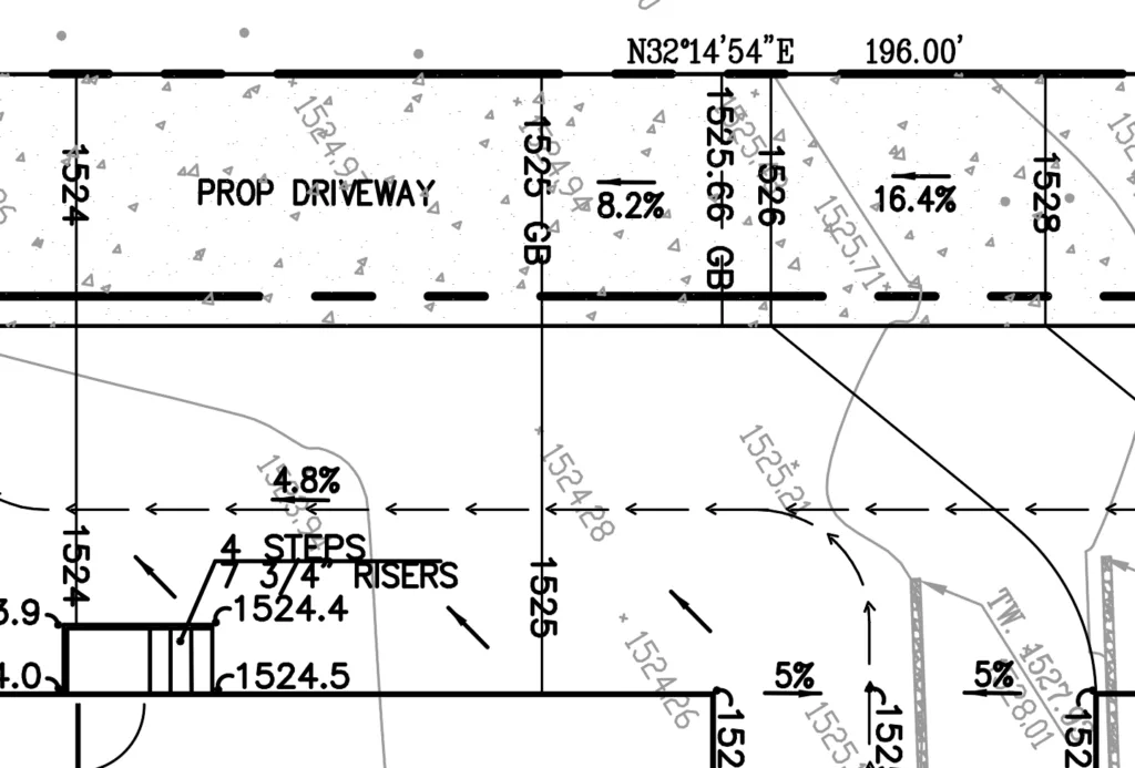
On this particular lot we were able to sheet flow by gravity the entire site to the rear, without needing area drains. The next step was locating a proposed driveway that connects to the existing driveway apron without building walls or curbs. This part was eyeballed to guess an initial grade and length that would work, then using our custom calculator we could line up the proposed contours and grade breaks and align that with the existing property line elevations. Like usual got this on the first try and had a very good tie in with the neighbor our driveway and how the ADU’s sit. This is not a flat lot and averages about 17% from front to rear because of stepped walls through the property.

As you can see the driveway follows slope standards and can be driven with pretty much any car. The grades between the structures and driveway are not flat, but they are tied pretty closely into the existing. We are also removing most of the walls that were stepping the site and creating a more flowing grade across the site.
If you need drainage or grading plans in Altadena or Pacific Palisades fire rebuilds, please contact us. We specialize in hillside grading plans for LA County. We should also be taking on some more commercial projects soon that I am very excited about.