Skip to main content
Altadena Under Construction

Residential on Marathon Road

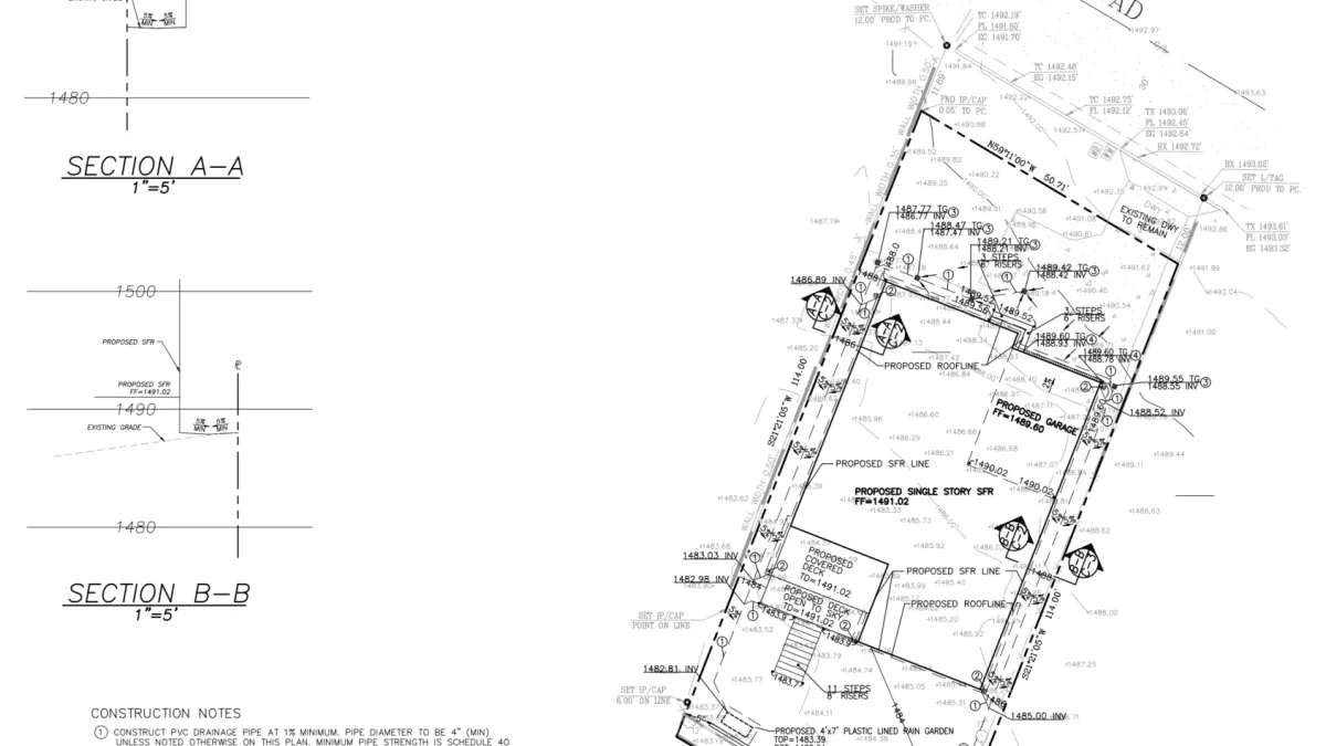
Drainage plans and hydrology report for a single-family residential fire rebuild following the Eaton Fire.

Drainage plan for Altadena residence showing area drains, trench drain, and lined rain gardens with elevation contours

Location

Altadena, CA

Services

  • Drainage Plans
  • Hydrology Report

Current Phase

Under Construction

Project Overview

Single-family residential fire rebuild in Altadena following the Eaton Fire. The 0.1309-acre lot drops 10 feet from street to rear over 114 feet, requiring thoughtful grading to work with the natural slope. We used area drains at the front of the house and a trench drain in front of the attached garage, routing stormwater through gravity pipes into two separate plastic-lined rain gardens at the rear. Keeping slopes at or under 5:1 (20%) meant the project qualified as a drainage plan rather than a full grading plan, simplifying LA County approval. The hydrology report demonstrated that post-development stormwater flow would not exceed pre-fire conditions, eliminating the need for a sump pump.

The rear deck required 11 steps to accommodate the slope, and the design maximized the sideyard setback at 5 feet on both sides to make the most of the available area while meeting code requirements. The new single-story residential ties into the existing driveway which leads to the attached garage.

Site Photos

Altadena construction site showing floor joists on foundation with area drain placement for stormwater management
Altadena residential rebuild under construction with floor framing underway following our drainage plan design
Active construction on Altadena property featuring lumber and drainage material staging
Altadena construction site for residential rebuild with Scott J. Woodland Construction

Project Progress

September 2025

Initial Assessment

Existing conditions documented. Drainage patterns analyzed. Hydrology study initiated.

November 2025

Submittal

Drainage plans and hydrology report submitted to LA County for review.

December 2025

Approved

Plans approved by LA County. Project cleared for construction.

Current

Under Construction

Construction has begun on the project.

Need similar services?

We are currently accepting new projects in Altadena, Pacific Palisades, and Malibu for fire rebuild engineering.

Start Your Project
323-739-3913 Get Quote