Skip to main content
Altadena Approved

Residential on West Palm Street

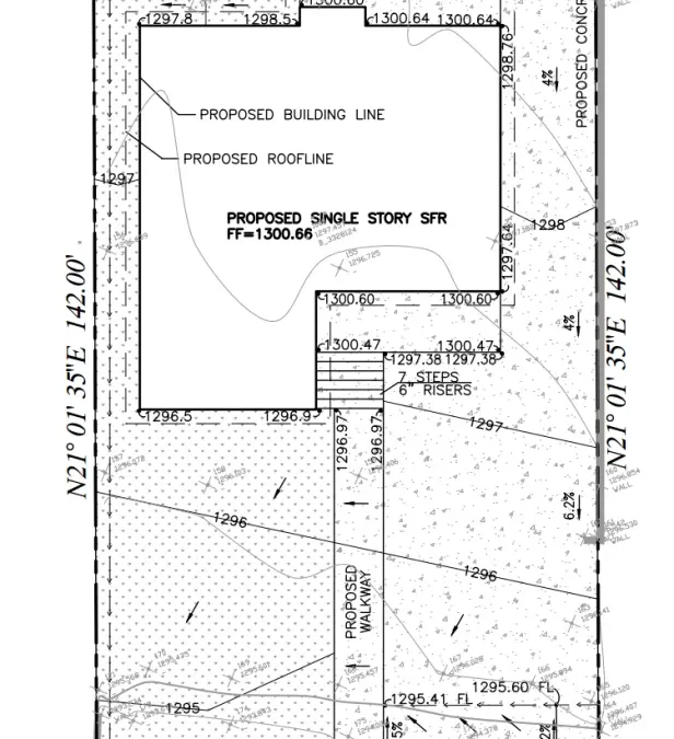
Drainage plans and hydrology report for a single-family residential fire rebuild following the Eaton Fire.

Drainage plan for Altadena residence showing sheet flow to lined rain garden with elevation contours

Location

Altadena, CA

Services

  • Drainage Plans
  • Hydrology Report

Current Phase

Approved

Project Overview

Single-family residential fire rebuild in Altadena following the Eaton Fire. The 0.1745-acre lot slopes 7 feet down from street to rear over 142 feet, requiring careful drainage planning. We used sheet flow across the lot surface instead of gravity drain pipes, directing stormwater into plastic-lined rain gardens at the rear of the property. The driveway design tied into existing property line elevations, eliminating the need for retaining walls. An ADU at the rear required additional drainage consideration to ensure proper stormwater management for the entire site. Keeping all slopes at or under 5:1 (20%) simplified the LA County approval process since the project qualified as a drainage plan rather than a full grading plan. Approved April 2026.

Site Photos

Graded lot in Altadena with natural slope ready for residential construction drainage installation
Altadena residential lot requiring drainage plan with Alto Builders sign indicating active construction
Sloped terrain on Altadena property showing grade variation requiring careful drainage engineering
Altadena construction site featuring existing tree preservation and natural grade for drainage design

Project Progress

January 2026

Initial Assessment

Existing conditions documented. Drainage patterns identified.

January 2026

Submittal

Drainage plans and hydrology report submitted to LA County for review.

April 2026

Approved

Drainage plans and hydrology report approved by LA County.

Need similar services?

We are currently accepting new projects in Altadena, Pacific Palisades, and Malibu for fire rebuild engineering.

Start Your Project
323-739-3913 Get Quote