Grading and Drainage Solutions for Altadena's Distinct Landscape
Altadena, tucked beneath the San Gabriel Mountains, is a charming Los Angeles County community known for its scenic beauty and charming homes. Unlike the steep hillsides of nearby areas, Altadena's flatter terrain presents its own set of grading and drainage challenges.
Altadena, tucked beneath the San Gabriel Mountains, is a charming Los Angeles County community known for its scenic beauty and charming homes. Unlike the steep hillsides of nearby areas, Altadena’s flatter terrain presents its own set of grading and drainage challenges, from uneven soils to seasonal flooding risks. At B+W Engineering and Design, we bring our experience to create grading and drainage plans that turn Altadena’s unique landscape into stable, buildable sites for architects and homeowners.
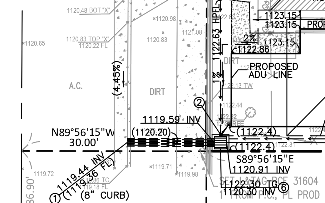
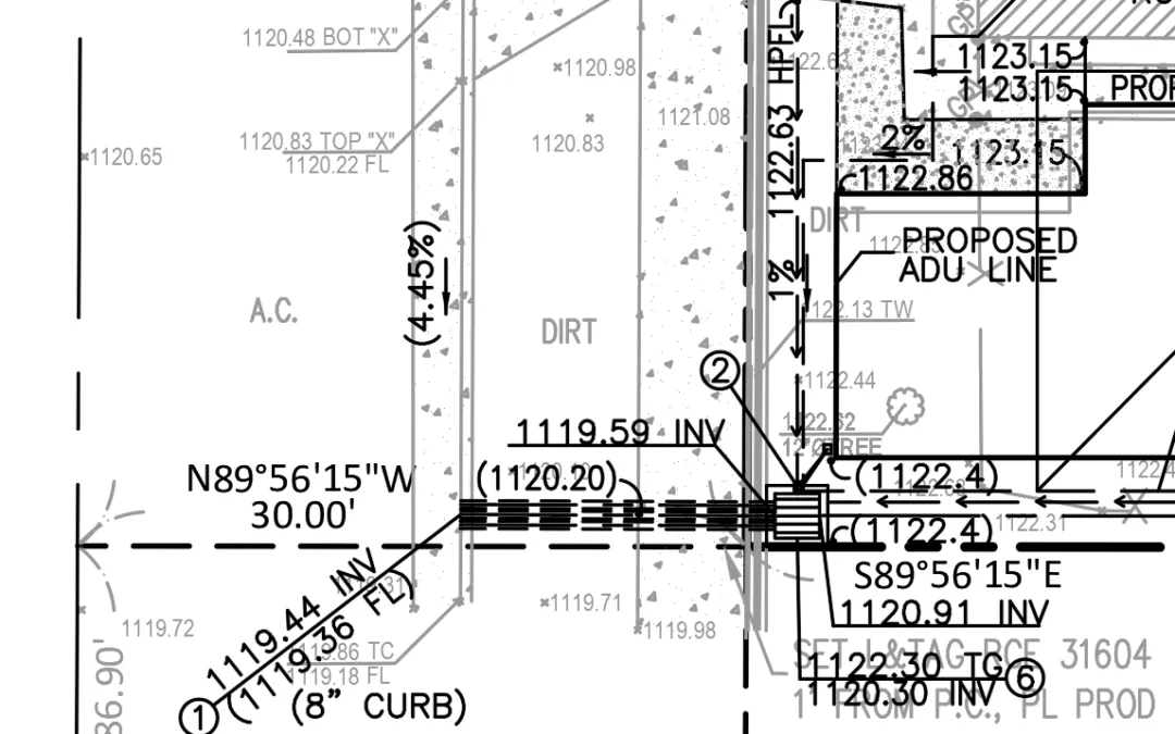
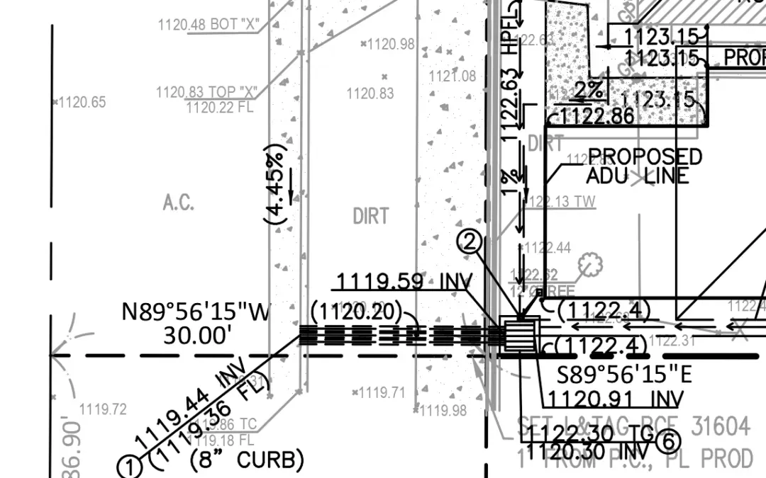
Grading in Altadena is about refining the land to support a home’s foundation and outdoor spaces while addressing subtle elevation changes. The area’s mix of sandy and clay-heavy soils can settle unevenly, making precise grading essential for driveways, patios, or sprawling yards. In a recent Altadena project, we leveled a slightly sloped lot to support a contemporary home remodel with a wide front lawn, carefully adjusting the grade to ensure proper water flow away from the structure. Our grading plans focus on creating smooth, functional surfaces that blend with the neighborhood’s open, airy feel, giving architects a solid canvas for their designs.
Drainage is a critical concern in Altadena, where flat terrain and heavy winter rains can lead to standing water or soggy yards. Without proper drainage, homes risk foundation issues or damaged landscaping. Our drainage plans are tailored to Altadena’s conditions, using smart systems that keep water moving efficiently. For one project, we designed a network of shallow, grass-lined channels that directed rainwater from the home’s roof and yard to a dry well at the property’s edge, preventing pooling while maintaining a natural look. These solutions protect homes and keep outdoor spaces usable year-round.
Our approach in Altadena starts with a close look at the site’s soil and drainage patterns. We work hand-in-hand with architects to craft plans that fit the home’s layout, whether it’s a cozy bungalow or a modern spread. Using tools like 3D models, we map out grading and drainage to show clients how the land will perform, ensuring every detail supports the project’s vision. We also stay on top of Los Angeles County’s stormwater rules, Low Impact Development, keeping plans compliant and projects on track.
At B+W Engineering, we love working in Altadena’s distinctive landscape. Our grading and drainage solutions create strong, practical foundations that let homeowners and architects build with confidence in this inviting community, surrounded by the beauty of the San Gabriel foothills.
You Might Also Like
Rebuilding Altadena
Altadena first lot since the Eaton Fire, was sold recently on Calaveras Street for $100k above listing. Location and price wise this seems low to me, but also the buyer will have to wait a while before anything can happen.
Altadena and SB9
Was doing some networking this week and getting to chit chat with Architects and developers about the fires has been most interesting.
Los Feliz Grading
Looking at an interesting plan in Los Feliz with a slight addition and a nice ADU addon. At first glimpse everything is trying to be tied into the existing topography.